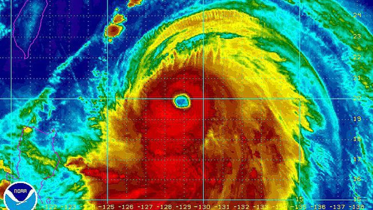
يتجه الإعصار نيوغوري العنيف اليوم (الاثنين) نحو جزر اوكيناوا مصحوبا برياح عاتية وأمطار غزيرة، فيما حذر مسؤولون السكان من الخروج، وأجلت أكبر قاعدة لسلاح الجو الأميركي في المحيط الهادئ عددا من طائراتها.
وقد تكون هذه العاصفة الأسوأ منذ عقود، حيث حذرت وكالة الأرصاد الجوية الوطنية بأن رياحا تصل سرعتها الى 270 كلم في الساعة ستضرب سلسلة أقصى جنوب الجزر الجنوبية في وقت مبكر يوم غد (الثلاثاء)، مع احتمال وصولها الى سائر أراضي اليابان الاربعاء.
ورصد الأعصار على بعد 600 كلم جنوب جزيرة أوكيناوا الرئيسة في الساعة 03:00 ت غ، وهو يتحرك الى الشمال والشمال الغربي بسرعة 25 كلم في الساعة.
وصرح مسؤول في الوكالة في مؤتمر صحافي "نرجو لزوم اليقظة والبقاء داخل المباني وتجنب العمل خارجا والتنقلات غير الضرورية". وتابع ان العاصفة قد تشمل رياحا "قياسية" وتثير أمواجا عاتية. مؤكدا "يرجح ان تصل الى اوكيناوا صباح الثلاثاء وتثير رياحا عنيفة وأمواجا عالية ... وقد تسبب في بعض المناطق أمطارا غزيرة"، مشددا على ضرورة "الاستعداد للاجلاء".
مواصلا، قد تطول العاصفة منطقة يبلغ شعاعها 500 كلم ويتوقع ان تخف حدتها عند وصولها الى البر الرئيسي الياباني.
وبدأت قاعدة كادينا الجوية الاميركية في أوكيناوا، الاكبر للولايات المتحدة في المحيط الهادئ، إجلاء بعض طائراتها الاحد تحسبا.
وصرح القائد جيمس هيكر المتمركز في القاعدة "انه اقوى اعصار يضرب الجزيرة منذ 15 عاما، ونتوقع وصول رياح مدمرة صباح الثلاثاء".
وغالبا ما تضرب الاعاصير اوكيناوا، لكن السكان قرروا عدم المخاطرة وبدا صيادو الأسماك سحب مراكبهم من المياه وربطها على اليابسة في المرفأ.
8:25 دقيقه
الأرصاد الجوية اليابانية تحذر من إعصار نيوغوري العنيف
https://aawsat.com/home/article/132921
الأرصاد الجوية اليابانية تحذر من إعصار نيوغوري العنيف
قد يكون الأسوأ والأكثر دمارا منذ عقود
الأرصاد الجوية اليابانية تحذر من إعصار نيوغوري العنيف
لم تشترك بعد
انشئ حساباً خاصاً بك لتحصل على أخبار مخصصة لك ولتتمتع بخاصية حفظ المقالات وتتلقى نشراتنا البريدية المتنوعة
